Vista Street
Lake Helen, FL 32744

Listed at $149,900

Details

  • MLS# O6385399
  • Land - Residential
  • Status Active
  • 0 Bedrooms
  • Bathrooms
  • 0 Square Feet
  • 0.530 acres
  • Built in 0
  • Local Schools

Description

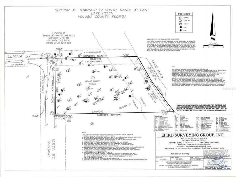
Owners reduced the price by $10,000 for a quick sale! NEW SURVEY reveals that a larger house than previously thought can be built on this lakefront homesite (see attached survey - the building envelope is just over 8,000 square feet in area). If you can find a better lake lot you should buy it! If not the owner of this lot is motivated to sell and willing to provide some owner financing ! Lovely half acre lakefront lot on Lake Macy, a lightly developed lake with only one home visible off in the distance from your private back yard. Very eclectic laid-back rural neighborhood in the quaint and charming community of Lake Helen, tucked away with...read more very little traffic. The building site would be located high above the lake with a gentle slope to the waters edge! So its perfect for a walk out first floor. The State of Florida provides control and monitoring of water quality, for long term protection of this idyllic environment. Come explore the walkable lot and imagine your dream home for an exciting, but quiet life on the lake with easy access to I-4, attractions, beaches and shopping. Only minutes from I-4, New Smyrna Beach, and the shoppes and restaurants of historic downtown Deland. *** Owner will consider financing with substantial down payment.***

Features

  • $1,011 Taxes
  • Public
View All Features

Contact the Agent

Contact the Listing Agent
Disclaimer: All information deemed reliable but not guaranteed. All properties are subject to prior sale, change or withdrawal. Neither listing broker(s) or information provider(s) shall be responsible for any typographical errors, misinformation, misprints and shall be held totally harmless. Listing(s) information is provided for consumers personal, non-commercial use and may not be used for any purpose other than to identify prospective properties consumers may be interested in purchasing. Information on this site was last updated 03/09/2026. The listing information on this page last changed on 03/09/2026. The data relating to real estate for sale on this website comes in part from the Internet Data Exchange program of Delta Media Group MLS (last updated Mon 03/09/2026 1:36:05 AM EST) or Miami MLS (last updated Mon 03/09/2026 12:28:15 AM EST) or Stellar MLS (last updated Mon 03/09/2026 1:28:45 AM EST) or Daytona MLS (last updated Sun 03/08/2026 11:36:50 PM EST) or Tallahassee MLS (last updated Sun 03/08/2026 10:49:46 PM EST) or Northeast Florida MLS (last updated Mon 03/09/2026 12:18:44 AM EST) or My State MLS (last updated Sun 03/08/2026 11:30:19 PM EST) or Florida Keys MLS (last updated Mon 03/09/2026 12:28:49 AM EST). Real estate listings held by brokerage firms other than Adams Cameron & Co. REALTORS may be marked with the Internet Data Exchange logo and detailed information about those properties will include the name of the listing broker(s) when required by the MLS. All rights reserved.

mls logo
Listing data and photos distributed by MLSGRID
Member Participants (and their affiliated licensees, if applicable) shall indicate on their websites that IDX information is provided exclusively for consumers’ personal non-commercial use, that it may not be used for any purpose other than to identify prospective properties consumers may be interested in purchasing, that the data is deemed reliable but is not guaranteed by MLS GRID, and that the use of the MLS GRID Data may be subject to an end user license agreement prescribed by the Member Participant’s applicable MLS if any and as amended from time to time. MLS GRID may, at its discretion, require use of other disclaimers as necessary to protect Member Participant, and/or their MLS from liability.
Based on information submitted to the MLS GRID. All data is obtained from various sources and may not have been verified by broker or MLS GRID. Supplied Open House Information is subject to change without notice. All information should be independently reviewed and verified for accuracy. Properties may or may not be listed by the office/agent presenting the information.



Privacy Policy / DMCA Notice / ADA Accessibility

Property Image 1
Property Image 2
Property Image 3
Property Image 4
Property Image 5
Property Image 6
Property Image 7
Property Image 8
Property Image 9
Property Image 10
Property Image 11
Property Image 12
Property Image 13
Property Image 14
Property Image 15
Property Image 16
Property Image 17
Property Image 18
Property Image 19
Property Image 20
Property Image 21

All Property Features

  • Property Type: Land - Residential
  • Community Features: Street Lights
  • Days on Site: 11
  • Directions: From Orange Camp Rd. drive to Euclid Ave., in Lake Helen, turn rt. go to Cassadaga Rd. turn rt. and follow street which becomes Macy Ave., and go to Kicklighter Ave., and turn East (left) to Vista St., turn North (left) to sign and property on right.
  • Flood Zone Code: X
  • Frontage Lake: 138
  • Home Warranty Y/N: No
  • Listing Terms: Owner Financing
  • Lot Description: Sloped, Wooded
  • Lot Dimensions: 0.53
  • Lot Size: 0.53 Acres
  • Ownership: Fee Simple
  • Property Attached Y/N: No
  • Sewer: Septic Needed
  • Showing Instructions: ShowingTime
  • Special Sale Provisions: None
  • Special View Info: Water
  • Taxes: $1,011
  • Utilities: Electrical Nearby, Water Nearby
  • Water: Public
  • Water Access: Lake
  • Water Access Y/N: Yes
  • Waterfront Features: Lake Front
  • Water View: Lake
  • Zoning: SFR2